Paraxenetus
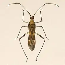
Paraxenetus bracteatus
Scientific classification Edit this classification
Domain: Eukaryota
Kingdom: Animalia
Phylum: Arthropoda
Class: Insecta
Order: Hemiptera
Suborder: Heteroptera
Family: Miridae
Subfamily: Mirinae
Tribe: Herdoniini
Genus: Paraxenetus
Reuter, 1907

Paraxenetus is a genus of plant bugs in the family Miridae. There are about 17 described species in Paraxenetus.[1][2][3]

Paraxenetus guttulatus

Species

These 17 species belong to the genus Paraxenetus:

  • Paraxenetus albonotatus Carvalho, 1988
  • Paraxenetus alvarengai Carvalho & Ferreira, 1973
  • Paraxenetus annulicornis Reuter, 1907
  • Paraxenetus aspersus Carvalho & Ferreira, 1973
  • Paraxenetus bahianus Carvalho & Ferreira, 1973
  • Paraxenetus bracteatus (Distant, 1883)
  • Paraxenetus brailovskyi Schaffner & Carvalho, 1985
  • Paraxenetus brasilianus Carvalho & Ferreira, 1973
  • Paraxenetus cuiabanus Carvalho & Ferreira, 1973
  • Paraxenetus cuneopunctatus Carvalho, 1988
  • Paraxenetus guttulatus (Uhler, 1887)
  • Paraxenetus minusculus Carvalho & Ferreira, 1973
  • Paraxenetus paranaensis Carvalho & Ferreira, 1973
  • Paraxenetus pirapora Carvalho & Wallerstein, 1978
  • Paraxenetus rubricuneus Carvalho, 1988
  • Paraxenetus seabrai Carvalho & Ferreira, 1973
  • Paraxenetus trifasciatus Carvalho & Wallerstein, 1978

References

  1. "Paraxenetus Report". Integrated Taxonomic Information System. Retrieved 2019-09-23.
  2. "Paraxenetus". GBIF. Retrieved 2019-09-23.

Further reading

  • Kerzhner, I. M.; Josifov, M. (1999). Aukema, Berend; Rieger, Christian (eds.). Catalogue of the Heteroptera of the Palaearctic Region, Vol. 3: Cimicimorpha II: Miridae. The Netherlands Entomological Society. ISBN 978-90-71912-19-1.
  • "On-line Systematic Catalog of Plant Bugs". American Museum of Natural History. Retrieved 2019-07-02.
  • Schuh, Randall T.; Weirauch, Christiane; Wheeler, Ward C. (2009). "Phylogenetic relationships within the Cimicomorpha (Hemiptera: Heteroptera): a total-evidence analysis". Systematic Entomology. 34 (1): 15–48. CiteSeerX 10.1.1.498.8756. doi:10.1111/j.1365-3113.2008.00436.x.


This article is issued from Wikipedia. The text is licensed under Creative Commons - Attribution - Sharealike. Additional terms may apply for the media files.